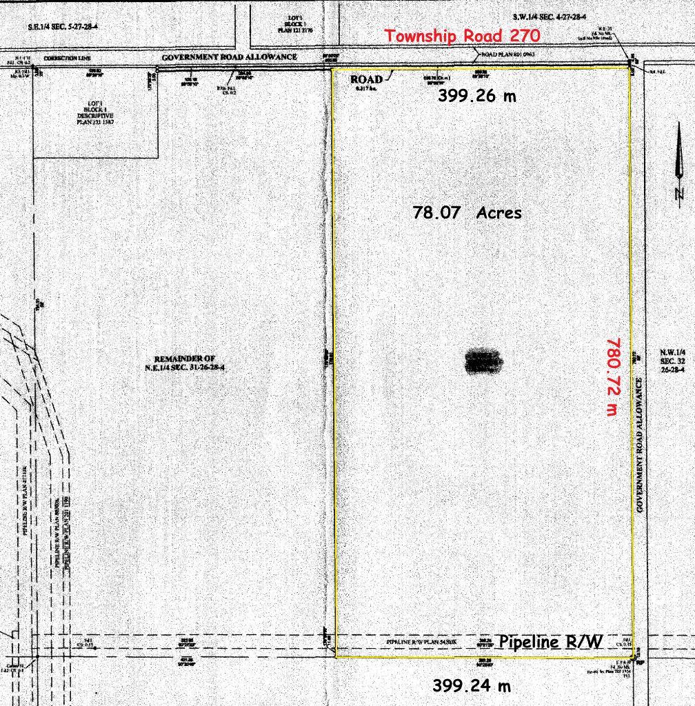
78 Acres Township Road 270Rural Rocky View County, AB T4B 2A4




78 Acres with Mountain Views, on Pavement, Minutes to Airdrie, Calgary + CrossIron Mills. Country Quiet, City Close! 78 Acres on PAVED Township Road 270 just east of Airdrie, Alberta. Combination of hay and pasture, with nice elevated building sites with Mountain, City and country views. Ideal for quiet country living and home based business (by permit), A-SML Agricultural, Small Parcel District. 1,300' frontage on Township Road 270. East from Airdrie on Yankee Valley Boulevard/Township Road 270 past Airdrie Airpark and past Range Road 290, first approach east of MD #285079 on south side of the road. Livestock on the property, do not access without permission. GST may apply.
| 2 months ago | Listing first seen on site | |
| 2 months ago | Listing updated with changes from the MLS® |
Listing information is provided by Participants of the Alberta One Realty Listing Services (Pillar 9). IDX information is provided exclusively for personal, non-commercial use, and may not be used for any purpose other than to identify prospective properties consumers may be interested in purchasing. Information is deemed reliable but not guaranteed. Copyright 2026, Alberta One Realty Listing Services (Pillar 9)
Last checked 2026-04-30 06:15 AM UTC

